Refine Search

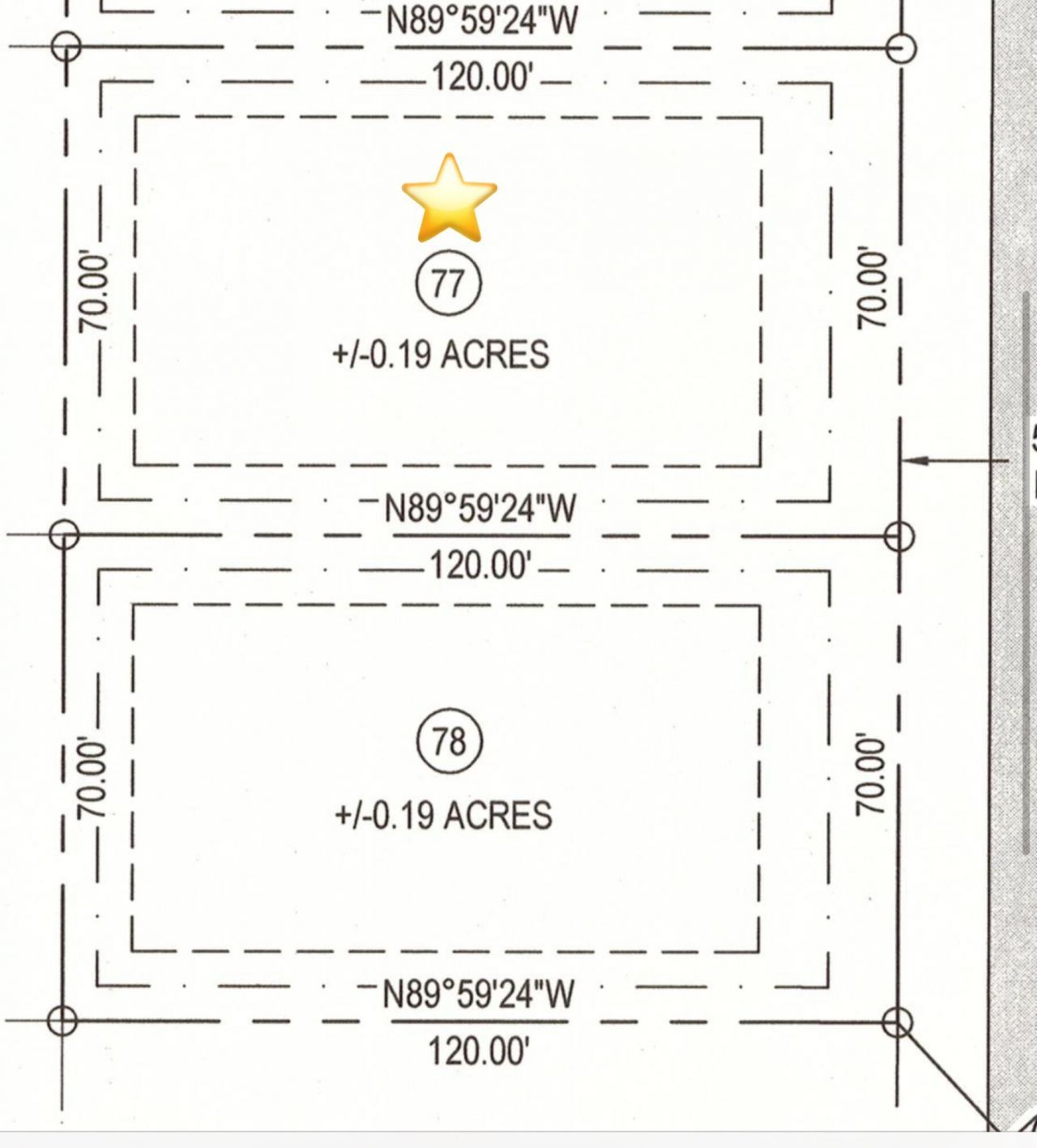
205 (lot 77) Thaxton Hills Dr., Thaxton, MS 38871

$35,000
  • 205 (lot 77) Thaxton Hills Dr., Thaxton, MS 38871 Main Photo

8 Total Photos [Click to View All]

Active
LOT SIZE 0.190 acres MLS#25-3917
STATUSActive PROPERTY TYPELand - Residential SCHOOLPontotoc North

Property Description

Thaxton Hills offers the best of both worlds - quiet country living with modern convenience. These lots feature community sewer and underground utilities already in place, making them ready for your next build. Whether you're a developer looking for your next project or a homeowner ready to design your own place, you'll find plenty of room and potential here. Subdivision covenants help maintain the character and quality of the neighborhood. Build your vision at Thaxton Hills - where thoughtful planning meets small-town charm. Information is deemed reliable, but is not guaranteed.

205 (lot 77) Thaxton Hills Dr. | MLS# 25-3917

This land located at 205 (lot 77) Thaxton Hills Dr., Thaxton, MS 38871 is currently listed for sale with an asking price of $35,000. The property has approximately 0.19 Acres. (lot 77) Thaxton Hills Dr. is located within the Pontotoc North school district. Search Thaxton real estate on www.cryeleikepropertiesunlimited.com today.

Property Features

Property Type: Land - Residential
Lot Size: 0.19 Acres
Taxes: $383

Feature Descriptions

Days on Site: 160
Lot Dimensions: 70 x 120
Road Frontage: YES
Topography: Open

Local Schools

School District: Pontotoc North

Listed By / Shown By

Listed By

Agency Name: Crye-Leike Realtors
Agency Phone: (662) 680-9355

Shown By

Agency Title: Crye Leike Properties Unlimited
Agency Phone: 662-328-1150

IDX logo

Estimate Your Payment

Estimated Payment

$ 230.91 per month $188.79 Principal & Interest $31.92 Property Tax $10.21 Homeowner's Insurance

Change Payment Information

%
years/fixed
yearly
yearly (est.)
(Payments are an estimate and may vary by lender)

Login to My Homefinder

Pixel