County Road 94 Lot 6, New Albany, MS 38652

$65,000
New Listing
  • County Road 94 Lot 6, New Albany, MS 38652 Main Photo

2 Total Photos [Click to View All]

New to the Market Active
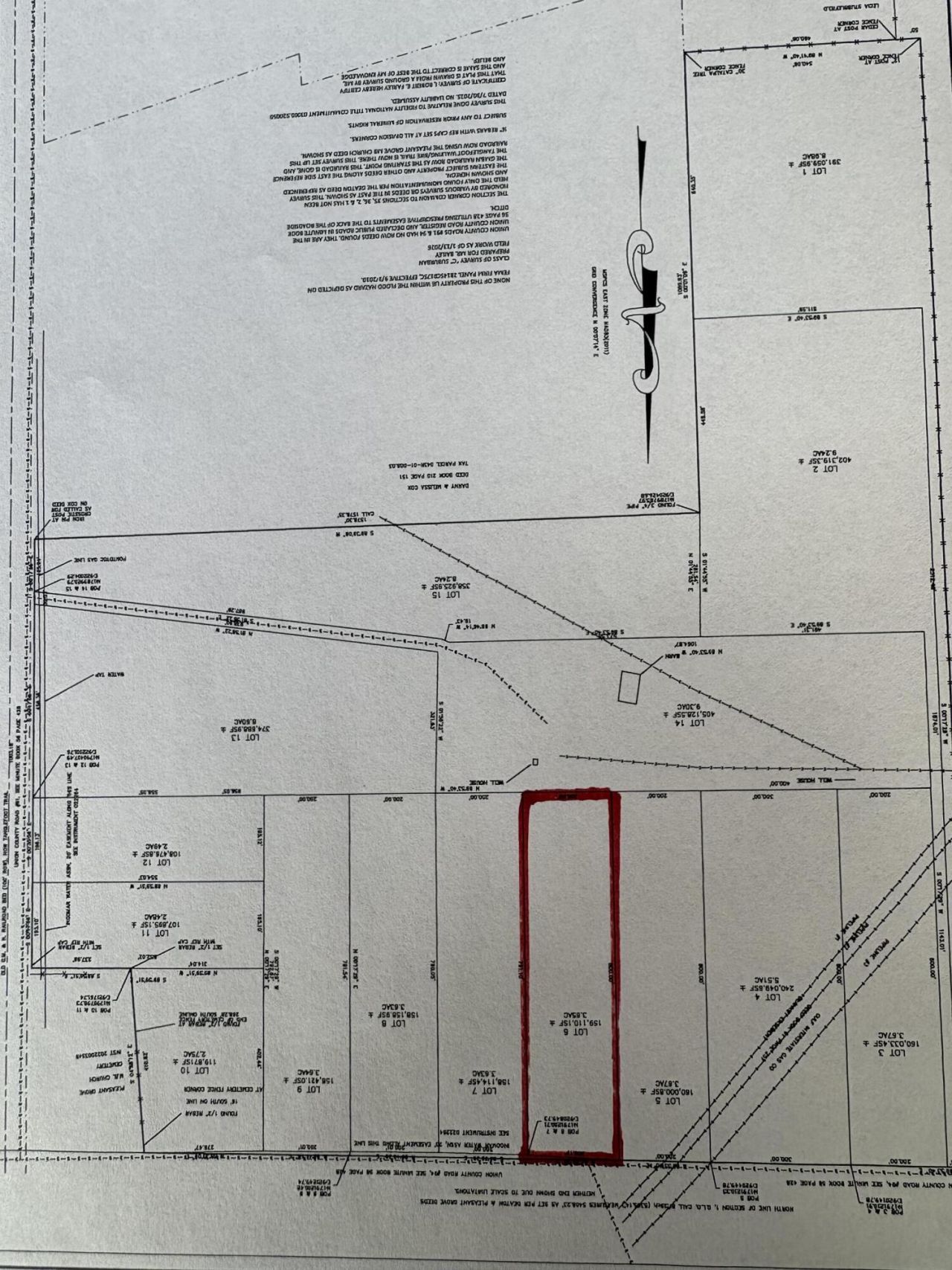
LOT SIZE 3.650 acres MLS#26-691
STATUSActive PROPERTY TYPELand - Residential SCHOOLIngomar

Property Description

3.65 Acres located on CR 94 in the Ingomar Community. Building lot only. Property has been currently surveyed off with deed restrictions. No Mobile Homes and cannot be subdivided. There is a ditch that runs through part of the property. great building Site on the top of the hill. Taxes are estimated from a larger tract of land. All information is deemed correct but is subject to verification. All surveys and Arial maps on Documents

County Road 94 Lot 6 | MLS# 26-691

This land located at County Road 94 Lot 6, New Albany, MS 38652 is currently listed for sale with an asking price of $65,000. The property has approximately 3.65 Acres. County Road 94 Lot 6 is located within the Ingomar school district. Search New Albany real estate on www.cryeleikepropertiesunlimited.com today.

Property Features

Property Type: Land - Residential
Lot Size: 3.65 Acres
Taxes: $157

Feature Descriptions

Lot Dimensions: 3.65 Acres
Mineral Rights: YES
Road Frontage: YES
Suitable Use: Building
Topography: Level, Stream/Creek
Zoning: Residential

Local Schools

School District: Ingomar

Listed By / Shown By

Listed By

Agency Name: Rachel Ray Real Estate LLC
Agency Phone: (662) 598-2023

Shown By

Agency Title: Crye Leike Properties Unlimited
Agency Phone: 662-328-1150

IDX logo

Estimate Your Payment

Estimated Payment

$ 382.65 per month $350.61 Principal & Interest $13.08 Property Tax $18.96 Homeowner's Insurance

Change Payment Information

%
years/fixed
yearly
yearly (est.)
(Payments are an estimate and may vary by lender)

Login to My Homefinder

Pixel