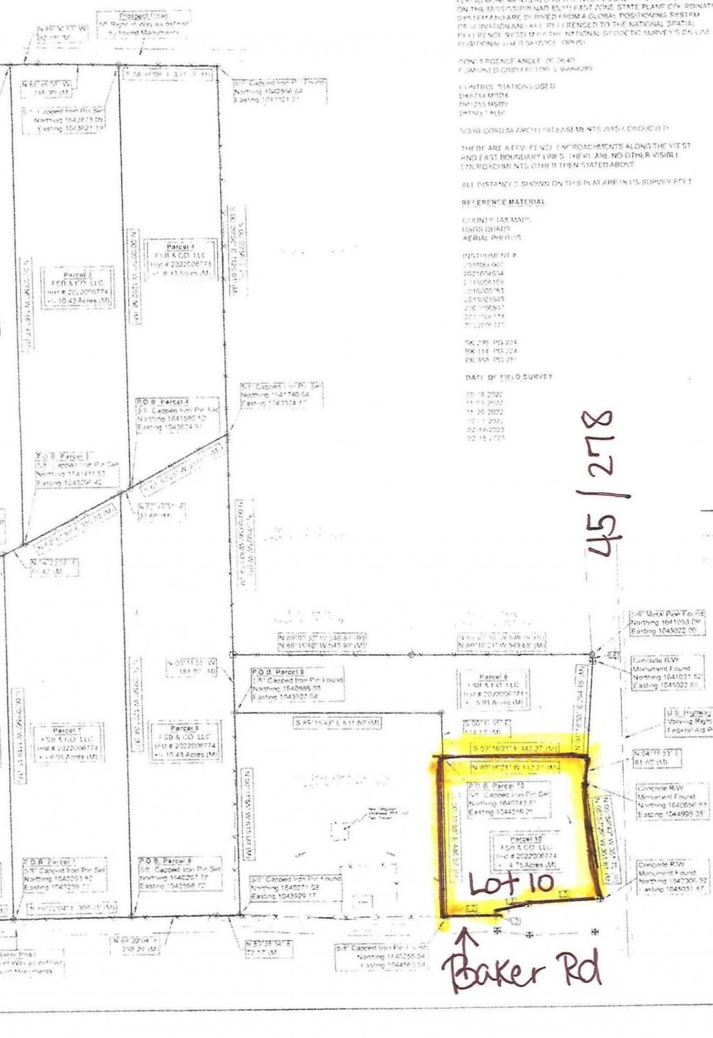
Lot 9 Baker/prospect Road, Nettleton, MS 38858

$75,000
  • Lot 9 Baker/prospect Road, Nettleton, MS 38858 Main Photo

1 Total Photos [Click to View All]

Active
LOT SIZE 4.750 acres MLS#23-872
STATUSActive PROPERTY TYPELand - Residential SCHOOLNettleton School

Property Description

MOBILE HOME FRIENDLY! Several lots available for new construction or doublewides less than 3 years old. Beautiful open land with covenants in place to retain property values. FINANCING AVAILABLE! See document section for more information. Taxes shown are estimated. All info subject to verification. Agents see private remarks.

Lot 9 Baker/prospect Road | MLS# 23-872

This land located at Lot 9 Baker/prospect Road, Nettleton, MS 38858 is currently listed for sale with an asking price of $75,000. The property has approximately 4.75 Acres. Lot 9 Baker/prospect Road is located within the Nettleton School school district. Search Nettleton real estate on www.cryeleikepropertiesunlimited.com today.

Property Features

Property Type: Land - Residential
Lot Size: 4.75 Acres
Taxes: $55

Feature Descriptions

Days on Site: 1083
Lot Dimensions: 4.75 acres
Suitable Use: Mobile home friendly
Topography: Open
Zoning: Residential

Local Schools

School District: Nettleton School

Listed By / Shown By

Listed By

Agency Name: TM REALTORS
Agency Phone: (662) 842-3844

Shown By

Agency Title: Crye Leike Properties Unlimited
Agency Phone: 662-328-1150

IDX logo

Estimate Your Payment

Estimated Payment

$ 431.01 per month $404.55 Principal & Interest $4.58 Property Tax $21.88 Homeowner's Insurance

Change Payment Information

%
years/fixed
yearly
yearly (est.)
(Payments are an estimate and may vary by lender)

Login to My Homefinder

Pixel